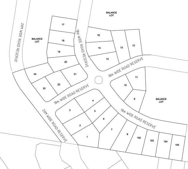
Estate a vista of approvals and extensions

Digital Editions
-

Harrisville rural land approved for housing subdivision
Owners of a former rural property on the outskirts of Harrisville have been given the go ahead to break up the land for a residential…













