Move to win approval for self storage expansion

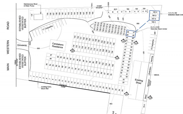
A SELF storage business on Tamborine Mountain wants to expand operations by almost 40 percent. Franor Holdings Pty Ltd have applied to the Scenic Rim Regional Council for a development permit to increase its self-storage units from 125 to 173 on its property at 108-114 Main Western Road. A total of 43 of the additional […]

Subscribe or Login to see the rest of the content.

Digital Editions


  • Creativity comes alive locally

    Creativity comes alive locally

    On Tuesday evening, Mount Alford Community Hall hummed to the rhythm of creativity. Pencils traced lines, brushes moved with purpose, and the space filled with…

More News

  • Young leader honoured on Australia Day

    Young leader honoured on Australia Day

    Kalbar’s Izzabella Lower was recognised for her outstanding contribution at the Australia Day Citizen of the Year Awards, winning in the 16–30 years category. The award acknowledged Izzabella’s leadership, compassion…

  • Tommerup receives Mayor’s Award

    Tommerup receives Mayor’s Award

    Scenic Rim agricultural advocate Kay Tommerup received the Mayor’s Award at this year’s Australia Day celebrations, recognising her long-standing commitment to agriculture, community leadership and regional sustainability. “I was completely…

  • See Downton Abbey go silly

    See Downton Abbey go silly

    Fackham Hall could be the period spoof we didn’t know we needed. Just when prestige period drama threatens to disappear up its own monogrammed waistcoat, along comes Fackham Hall to…

  • Even more spectacular

    Even more spectacular

    The Scenic Rim’s Clydesdale Spectacular has become even more spectacular with the integration of two activities to spread the event over four days. Festival chair Rick Stanfield and event director…

  • Retail market snapshot

    Retail market snapshot

    AUSVEG has released its advocacy update, highlighting trends affecting fruit and vege growers. Here are some of the highlights: The Consumer Price Index rose 3.8 per cent in the year…

  • Emma’s passion drives on

    Emma’s passion drives on

    It's impossible. You simply can’t talk to Emma Fouchard without being swept along by her infectious excitement and unwavering positivity for horses. “I'm a passionate horse person, and I love…

  • Super utility saddles up

    Super utility saddles up

    A new equestrian event has made its debut in Boonah, with the inaugural Saddle Up Boonah super utility held in teviot park Indoor arena at Boonah showgrounds in January. The…

  • Meet the 4th man in the fire

    Meet the 4th man in the fire

    The Word of God, the Bible, is living and powerful and when fed on regularly has the capacity to be life changing. In the book of Daniel, we read the…

  • Boonah retail complex reaches design phase

    Boonah retail complex reaches design phase

    A complex of boutique shops on the edge of Boonah’s town centre has reached the detailed design stage. Six tenancies are planned for the two level building to be constructed…

  • High end tourist retreat for rural Canungra?

    High end tourist retreat for rural Canungra?

    A multi-faceted ecotourism resort is the latest attraction proposed for Canungra’s hinterland. Nerang-based property developer, JLF Corporation, is planning to establish the so-named Canungra Eco Retreat on a 22.3ha block…