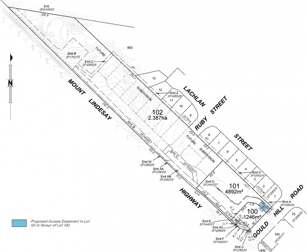
Move to subdivide Gleneagle highway frontage

DEVELOPERS are planning future subdivisions of the long narrow block fronting the housing estates along Gould Hill Road at Gleneagle. But GPS Properties Pty Ltd are first hoping to gain approval to divide the three-hectare property into three blocks. The first of the three blocks sited at the intersection of Gould Hill Road and the […]

Subscribe or Login to see the rest of the content.

Digital Editions


  • Tea towel art impresses judges

    Tea towel art impresses judges

    Boonah's Betty Lankowski was awarded third place in the international tea towel painting competition at the recent Queensland Country Women's Association state conference. The annual…

More News

  • Call Jesus, get Superman

    Call Jesus, get Superman

    With the Australian Tennis Open just finished and the 2026 Winter Olympics just starting we have begun 2026 with tremendous examples of human skills and endeavours. The tuning of these…

  • Living the dream

    Living the dream

    In the Scenic Rim, beauty need not announce itself with fanfare. It waits quietly in paddocks, along fence lines, and beneath wide country skies, offering small reminders of why so…

  • Back to Beaudesert 2026

    Back to Beaudesert 2026

    Plans are well underway for the 74th Beaudesert Reunion to be held on Saturday, 14 March. The event represents the town’s tradition of staying connected to former schoolmates, work colleagues…

  • Churchill fellows at Boonah

    Churchill fellows at Boonah

    The Churchill Fellows Association of Queensland is hosting an information session at Boonah this month to encourage Scenic Rim locals to aim high and chase their dreams. The Churchill Fellowship…

  • Fresh gear for new season

    Fresh gear for new season

    The broken paddle canoe club has launched into the new season with renewed momentum, thanks to grant funding that has strengthened safety standards and supported a growing number of junior…

  • Pickle ball progress at Roadvale

    Pickle ball progress at Roadvale

    Pickleball is making a racket on the tennis courts at Roadvale State School. Last year the Fassifern Guardian spoke to Julia Byatte who is the Roadvale Progress Association secretary. She…

  • Fairway for hope

    Fairway for hope

    A golf course has appeared on a farm owned by the Oppermann family near Boonah. Fifteen fairways have been mowed, holes dug and signs erected - and all this while…

  • Side riding takes off

    Side riding takes off

    Australian Side Saddle enthusiasts at Versedale Scrub are planning a massive year, with the side saddle discipline increasing in popularity as interest in traditional horsemanship grows. The group’s founder Simone…

  • On the planners desk

    On the planners desk

    IMPACT SUBDIVISION BEAUDESERT In 2012, council approved a boundary realignment of six properties in what was then the Countryside precinct of the Beaudesert and Canungra Township zone. No new allotments…

  • Croftby aggregation meets demand for rural properties

    Croftby aggregation meets demand for rural properties

    One of largest contiguous rural holdings in the western Scenic Rim changed hands just before Christmas. Brisbane-based managing director of 888 Electrical Solutions, Mark Leaney, purchased the Mt Toowoonan Aggregation…