Health care centre proposed for Tamborine

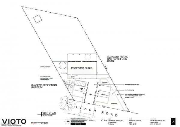
A HOME in Tamborine will be renovated and repurposed as a health care centre if the Scenic Rim Regional Council give the landowners the go ahead. Late last week, Tadross Pty Ltd lodged an application for a rezoning of the property at 17 Leach Road from the Township Zone to a Health Care Services Zone. […]

Subscribe or Login to see the rest of the content.

Digital Editions


  • Sophie a tourism stand out

    Sophie a tourism stand out

    One of the region’s stalwart producing families have produced a standout of their own in Sophie Joyce who was recently named the 2026 Queensland Young…

More News

  • Our newest Aussie citizens

    Our newest Aussie citizens

    Scenic Rim Regional Council hosted a cracker of a welcome party on Friday to celebrate 56 new local Aussie citizens. Held at The Centre Beaudesert, the ceremony began with live…

  • Beneath the forgotten frame

    Beneath the forgotten frame

    A simple act of kindness uncovered a link to Australia’s wartime past, when a Boonah man stumbled upon a long-forgotten photograph of an Australian Light Horse soldier named Andrew McCourt.…

  • Parts of the body of Christ

    Parts of the body of Christ

    After the dust has settled following another amazing holiday season, with the carefully collected pile of chocolate eggs finally diminished, what happens then? There have been so many awesome events…

  • ANZACs: Boonah brothers in arms

    ANZACs: Boonah brothers in arms

    Among the names inscribed in stone on the Boonah War Memorial are those of the three Mahaffey brothers. Two enlisted in 1914, two fought in the landing at Gallipoli in…

  • Clydie Spectacular a go

    Clydie Spectacular a go

    Preparations are well underway for the 2026 Clydesdale Spectacular to be held from 11 to 14 June. The event, held in Beaudesert for the first time last year, has been…

  • Absconded prisoner alert

    Absconded prisoner alert

    Police and Queensland Corrective Services officers are searching for 35-year-old prisoner Cory Blaine Leslie, who absconded from Palen Creek Low Custody Correctional Centre on Saturday, 11 April. QCS said the…

  • Time trials contested

    Time trials contested

    The Scenic Rim became an international sporting stage when the 2026 Oceania Road Championships rolled into the region last week. The continental championships brought together the region’s top cyclists from…

  • Dash delivers for community causes

    Dash delivers for community causes

    The spirit of community was on full display at the recent Boonah Rotary Dash, with the Rotary Club of Boonah announcing it raised an impressive $7,000. The money will be…

  • NZ para-cyclist team competes

    NZ para-cyclist team competes

    The New Zealand para-cycling team delivered a determined and inspiring performance at the 2026 Oceania Road Championships, competing against the region’s best on challenging Scenic Rim roads. Some of the…

  • High praise for snakes turn left

    High praise for snakes turn left

    There was no stortage of laughs on Saturday at the debut book launch of Snakes Turn Left by Ipswich local and author Allan Saunderson. Snakes Turn Left: A Spiritual Roadtrip…