Multi lot subdivision on the books for Hoya Road

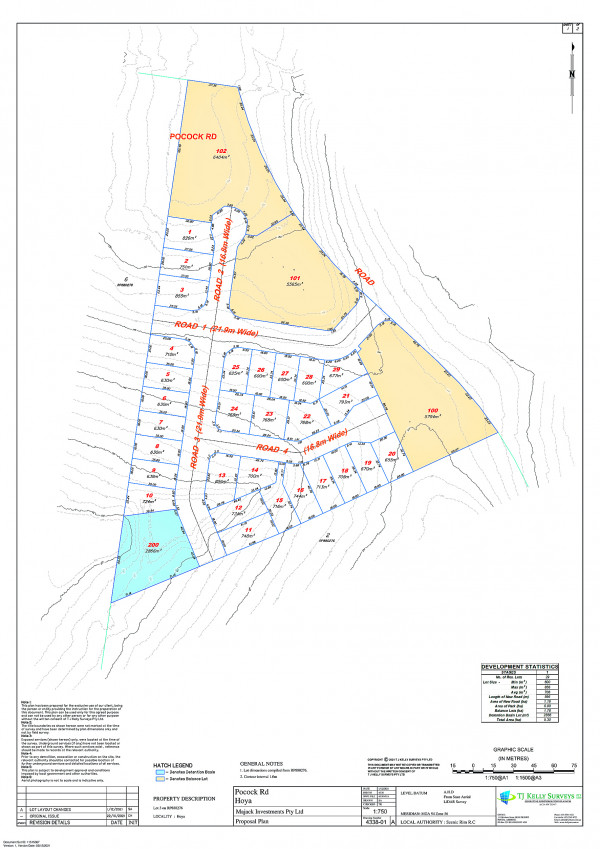
A DEVELOPER is planning to subdivide more than five hectares of land off Hoya Road into a residential estate if Council approval is gained. The land has the address of 1 Pocock Road but the access to the land is proposed to be off Hoya Road. The 33 allotments will be located behind three large […]

Subscribe or Login to see the rest of the content.

Digital Editions


  • Our newest Aussie citizens

    Our newest Aussie citizens

    Scenic Rim Regional Council hosted a cracker of a welcome party on Friday to celebrate 56 new local Aussie citizens. Held at The Centre Beaudesert,…

More News

  • Clydie Spectacular a go

    Clydie Spectacular a go

    Preparations are well underway for the 2026 Clydesdale Spectacular to be held from 11 to 14 June. The event, held in Beaudesert for the first time last year, has been…

  • Absconded prisoner alert

    Absconded prisoner alert

    Police and Queensland Corrective Services officers are searching for 35-year-old prisoner Cory Blaine Leslie, who absconded from Palen Creek Low Custody Correctional Centre on Saturday, 11 April. QCS said the…

  • Time trials contested

    Time trials contested

    The Scenic Rim became an international sporting stage when the 2026 Oceania Road Championships rolled into the region last week. The continental championships brought together the region’s top cyclists from…

  • Dash delivers for community causes

    Dash delivers for community causes

    The spirit of community was on full display at the recent Boonah Rotary Dash, with the Rotary Club of Boonah announcing it raised an impressive $7,000. The money will be…

  • NZ para-cyclist team competes

    NZ para-cyclist team competes

    The New Zealand para-cycling team delivered a determined and inspiring performance at the 2026 Oceania Road Championships, competing against the region’s best on challenging Scenic Rim roads. Some of the…

  • High praise for snakes turn left

    High praise for snakes turn left

    There was no stortage of laughs on Saturday at the debut book launch of Snakes Turn Left by Ipswich local and author Allan Saunderson. Snakes Turn Left: A Spiritual Roadtrip…

  • Double fatality at Purga

    Double fatality at Purga

    Police have appealed information surrounding yesterday's fatal car crash at Purga. The two vehicle crash ended the lives of both drivers, a man in his 20s and a female in…

  • Load of bull

    Load of bull

    Boonah, Beaudesert and now Kalbar show societies have been forced to post warnings as fake bull riding events get advertised on Facebook. The slick-looking Facebook advertisement promises a thrilling night…

  • Feed the need, get educated

    Feed the need, get educated

    The Fassifern district is fast becoming home to young families who have been priced out of suburbia. The problem is, there are limited childcare options and a lot of families…

  • Local pie picks

    Local pie picks

    In a region where bakery windows are as familiar as paddock fences, it took just one simple question from the Fassifern Guardian to get the community talking: What’s your favourite…